Hurricane Beryl alert in Texas: When will it arrive, and which areas will be affected?
Hurricane Beryl, now a tropical storm, will arrive in southern Texas in the coming days. We share the possible affected areas with you.

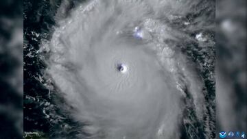
Beryl has been downgraded to a tropical storm but could regain strength in the Gulf of Mexico and make landfall in Texas as a hurricane on Sunday.
Latest satellite imagery as of 11AM CDT, Showing cloud temperatures with darker colors as colder and taller clouds. It has begun strengthening as it moves across the southwestern Gulf. #txwx #stxwx pic.twitter.com/lUTjxS975O
— NWS Corpus Christi (@NWSCorpus) July 6, 2024
Evacuation orders are being imposed
Additionally, despite its downgrading, the US National Weather Service (NWS) has issued a Hurricane Warning, which means that within the next 36 hours, the agency expects life-threatening conditions, including high winds and heavy rains, to materialize. This alert was updated from a Hurricane Watch, which as the graphic below shows, are typically issued 48 hours before hurricane force winds “are possible” in a certain area.
A Hurricane WATCH is when hurricane force winds are POSSIBLE within 48 hours.
— NWS Corpus Christi (@NWSCorpus) July 6, 2024
A Hurricane WARNING is when they are EXPECTED within 36 hours.
Know the difference and stay Weather-Ready! https://t.co/XkUGwiIOln pic.twitter.com/GPgjUcppQk
Residents within the alert area, which covers the “Texas coast from Baffin Bay northward to Sargent,” should heed the advice of local officials as evacuation orders have been imposed.
A voluntary evacuation order for visitors has been announced for Nueces County, Texas, which includes the coastal city of Corpus Christi. Tomorrow, Sunday, July 7, the order will become mandatory for visitors, with officials encouraging residents to evacuate the area. “Those who chose not to evacuate are asked to take necessary precautions to protect lives and secure property,” reads the order issued by Nueces Country Judge Connie Scott.
Nueces County Press Release https://t.co/9gm5HiUHRw pic.twitter.com/D2DtMudTfv
— Nueces County Sheriff's Office (@NuecesCoSO) July 6, 2024
The possible areas affected in Texas by Beryl
In addition to the more severe Hurricane Warning, a Hurricane Watch remains in effect from “the Texas coast south of Baffin Bay to the mouth of the Rio Grande River” and from “the Texas coast north of Sargent to San Luis Pass.” This means that hurricane-type conditions could impact the area, and those in those regions should be able to receive alerts issued by authorities if the conditions deteriorate even further.
On the other hand, a Tropical Storm Warning is in effect for much of the same area, from Baffin Bay to the mouth of the Rio Grande. A Tropical Storm Warning is issued when tropical storm conditions are expected within the warning area within 36 hours.
Tropical Storm #Beryl Advisory 32A: Hurricane Hunter Aircraft Reports Beryl Has Changed Little in Strength During the Past Few Hours. Hurricane-Force Winds, Life-Threatening Storm Surge, and Heavy Rains Expected in Portions of South Texas. https://t.co/tW4KeGe9uJ
— National Hurricane Center (@NHC_Atlantic) July 6, 2024
A Storm Surge warning has been issued for the Texas coast from the mouth of the Rio Grande north to High Island. This warning indicates a possibility of life-threatening flooding due to increased water moving inland from the coast in the specified locations over the next 48 hours. Combined with high winds in these areas, the conditions could become life-threatening and even facilitate the development of a tornado.
Hurricane & Storm Surge Watches are in effect for the Middle TX Coast, with a Tropical Storm Watch for inland Calhoun & Refugio Counties. Expected impacts:
— NWS Corpus Christi (@NWSCorpus) July 6, 2024
- Wind: 60-80, gusts up to 100 mph
- Storm Surge: 3-5 ft, Baffin→Matagorda Bay
- Rain: 5-10" (iso 15")
- Tornado: Scattered pic.twitter.com/3BMYZLD0vh
For information about your area, including potential inland watches and warnings, please follow updates from your local NWS office on social media or the NWS web portal dedicated to the storm. More information can be found on the Texas Division of Emergency Management website, where state officials will post advisories for residents across the affected area.
What to do when a tropical storm or hurricane arrives?
In addition to monitoring NWS alerts, it is important to prepare an emergency kit and review emergency equipment, such as flashlights, generators, and storm shutters.
Related stories
The emergency kit should include:
- Drinking water and sanitation supplies (toilet paper, etc)
- Non-perishable foods
- Battery or Hand Crank Radio or NOAA Weather Radio with Tone Alert
- Flashlight
- First aid kit
- Additional batteries
- Whistle (to call for help)
- Dust mask (to help filter contaminated air)
- Plastic sheeting and duct tape
- Wet wipes, garbage bags and plastic ties (for personal hygiene)
- Wrench or pliers (to turn off utilities)
- Manual can opener (for food)
- Local maps
- Cell phone with chargers and backup battery.
It’s crucial to create a Family Emergency Plan to determine how you’ll stay in touch, where you’ll meet, and what steps to take in an emergency. Also, take the time to review your insurance policies to ensure that you have adequate coverage for your home and personal property.

Complete your personal details to comment